Acasă » Știri » 27 de oameni au murit in Filipine dupa trecerea furtunii Hagupit

27 de oameni au murit in Filipine dupa trecerea furtunii Hagupit

De: Cancan 09/12/2014 | 10:44
27 de oameni au murit in Filipine dupa trecerea furtunii Hagupit

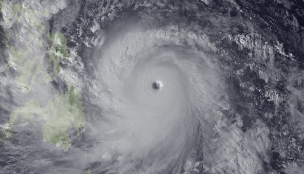
Bilantul furtunii tropicale care a maturat Filipinele de la est la vest a crescut marti la 27 de morti, potrivit Crucii Rosii, insa capitala Manila a fost in mare masura crutata, scrie AFP.

Marea majoritate a deceselor au fost inregistrate in extremitatea de est a arhipelagului, pe insula Samar, unde sambata seara Hagupit a lovit zona de coasta cu rafale avand viteza de 210 kilometri pe ora.

furtuna

Bilantul victimelor omenesti urmeaza, totusi, sa se inrautateasca pe masura ce echipele de prim-ajutor vor ajunge in regiunile izolate din Samar si alte provincii din est, a precizat presedintele Crucii Rosii filipineze, Richard Gordon.

Hagupit a slabit apoi in intensitate, trecand peste centrul tarii degradat de la taifun la furtuna tropicala. Depresiunea a evoluat in cursul noptii de luni spre marti prin apropiere de Manila fara a aduce potopul anuntat.

furtuna

Zeci de mii de persoane, in cea mai mare parte cele mai defavorizate din zona capitalei, traind in cartiere sarace de la malul marii, si-au petrecut noaptea in refugii.

Sursa: Agerpres

Recomandarea video

Urmărește Cancan.ro pe Google News
×